Nu rata cele mai noi știri și informații de ultimă oră. Activați notificările
Nu rata cele mai noi știri și informații de ultimă oră!
StirilePROTV
  • PROTV News Live
  • Cauta
  • Toate categoriile
  • Inspectorul Pro
  • Știri Actuale
  • Știri Externe
  • Știri Politică
  • Horoscopul lui Neti
  • Vremea
  • Alegeri Locale
  • Știri Economice
  • Știri Sănătate
  • Știri Educație
  • Știri Sport
  • Știri Justiție
  • Știri Mondene
  • Știri Știință
  • Locale
    • Cluj
    • Prahova
    • Brașov
    • Constanța
    • Satu Mare
    • Buzău
    • Arad
    • Gorj
    • Argeș
    • Sibiu
    • Timișoara
    • Iași
    • Ploiești
    • Oradea
    • Craiova
  • Știri Cultură
  • Știri Diverse
  • Alegeri SUA
  • Știri Sociale
  • Legal Marketing
  • iLikeIT
  • Doctor de Bine
  • Travel
  • iBani
  • myImpact
  • Interviurile Stirileprotv.ro
  • PRO VERDE
  • EURomânia
  • Conectat la România
  • Economisire și investiții
  • Sănătos Acasă
  • I like AI
  • Zâmbet sănătos
  • PROTV News Live
  • Top citite
  • Ultimele Stiri
  • Emisiuni Integrale
  • Video
  • Romania, te iubesc!
  • 30 de ani în 30 de zile
  1. Stirileprotv
  2. EXCLUSIV ONLINE

EXCLUSIV ONLINE

Ce a gasit un barbat in micul dejun cu care si-a tratat mahmureala. \
Joi 28 Februarie 2013

Ce a gasit un barbat in micul dejun cu care si-a tratat mahmureala. "M-am imbogatit"

Dupa o noapte de betie crunta, un barbat din Marea Britania s-a dus la pescaria din ...
Votca de 3 mil euro si carutul de copii creat de Aston Martin. Topul celor mai extravagante obiecte
Joi 28 Februarie 2013

Votca de 3 mil euro si carutul de copii creat de Aston Martin. Topul celor mai extravagante obiecte

Luxul este un rai la care cei mai multi dintre noi doar viseaza, pentru unii insa e ...
Actrita Anne Hathaway si-a cerut scuze pentru rochia purtata in seara Oscarurilor
Joi 28 Februarie 2013

Actrita Anne Hathaway si-a cerut scuze pentru rochia purtata in seara Oscarurilor

Actrita Anne Hathaway, premiata cu Oscar la inceputul acestei saptamani pentru rolul ...
Galerie FOTO. Proiectul inedit al unui fotograf. Cum arata de fapt femeia din aceste imagini
Joi 28 Februarie 2013

Galerie FOTO. Proiectul inedit al unui fotograf. Cum arata de fapt femeia din aceste imagini

Un fotograf rus a realizat un interesant eseu in imagini. Iubita lui il conduce prin ...
Un tanar care seamana izbitor cu Vlad Tepes a devenit subiect de glume pe internet
Joi 28 Februarie 2013

Un tanar care seamana izbitor cu Vlad Tepes a devenit subiect de glume pe internet

Un tablou cu Vlad Tepes intr-o reclama la televizor a ajuns subiect de glume pe internet. ...
Un medic ginecolog, concediat pentru ce le facea pacientelor. \
Joi 28 Februarie 2013

Un medic ginecolog, concediat pentru ce le facea pacientelor. "Folosea un pix pentru asta"

Un medic ginecolog de la cunoscutul spital american Johns Hopkins, care s-a sinucis pe 18 ...
7 milioane de oameni s-au uitat la acest clip cu lacrimi in ochi fara sa stie ca de fapt este trucat
Joi 28 Februarie 2013

7 milioane de oameni s-au uitat la acest clip cu lacrimi in ochi fara sa stie ca de fapt este trucat

In septembrie 2012, un filmulet emotionant, care arata un porc salvand de la inec un ied, ...
Aparitie neasteptata in biblioteca Universitatii Cambridge. Studentii nu stiau ca se ascundea acolo
Joi 28 Februarie 2013

Aparitie neasteptata in biblioteca Universitatii Cambridge. Studentii nu stiau ca se ascundea acolo

Studentii Universitatii Cambridge au avut parte de o surpriza cand au aflat cine se ...
Cersetorul care castiga mai bine decat tine: cum face un om al strazii 100.000 de dolari pe an
Joi 28 Februarie 2013

Cersetorul care castiga mai bine decat tine: cum face un om al strazii 100.000 de dolari pe an

Pentru unii cersetoria este o actorie si se plateste la fel de bine. Un cersetor american ...
A crezut ca a intalnit barbatul ideal, dar el a inselat-o si i-a furat banii. Cum s-a razbunat
Joi 28 Februarie 2013

A crezut ca a intalnit barbatul ideal, dar el a inselat-o si i-a furat banii. Cum s-a razbunat

Toni Chippendale, de 52 de ani, este o femeie divortata cu 2 copii, care a crezut ca a ...
S-a ascuns in casa intr-o groapa de 2 metri ca sa scape de politie: ce l-a dat de gol
Joi 28 Februarie 2013

S-a ascuns in casa intr-o groapa de 2 metri ca sa scape de politie: ce l-a dat de gol

Un polonez, cautat pentru ca datora sute de mii de lire, a fost gasit de politie ascuns ...
VIDEO. O fetita de 8 ani din Rusia, la volanul unui Audi. Viteza atinsa: 100 km/h
Joi 28 Februarie 2013

VIDEO. O fetita de 8 ani din Rusia, la volanul unui Audi. Viteza atinsa: 100 km/h

Gestul iresponsabil al unui tata din Rusia socheaza o lume intreaga. Barbatul si-a lasat ...
VIDEO. Sute de diavoli-de-mare au esuat pe o plaja din Gaza. Nimeni nu-si da seama ce s-a intamplat
Joi 28 Februarie 2013

VIDEO. Sute de diavoli-de-mare au esuat pe o plaja din Gaza. Nimeni nu-si da seama ce s-a intamplat

Sute de pesti din specia “diavolul-de-mare” au esuat pe o plaja din Gaza, ...
Secretul uluitor pe care \
Miercuri 27 Februarie 2013

Secretul uluitor pe care "Regina Balului" l-a ascuns colegilor de liceu. "Daca stiau ajungeam Rege"

Un adolescent care s-a nascut baiat, dar se identifica drept fata, a povestit cum a ...
Ce a gasit un barbat pe o plaja din Marea Britanie:\
Miercuri 27 Februarie 2013

Ce a gasit un barbat pe o plaja din Marea Britanie:"Avea fata de cal, gheare de urs si corp de porc"

O creatura ciudata, fara par pe corp, a esuat pe o plaja din sudul Tarii Galilor.
\
Miercuri 27 Februarie 2013

"Uite o stafie in oglinda!". Farsa care a ingrozit toate femeile dintr-un salon de frumusete. VIDEO

Femeile sunt obisnuite sa vada semne infricosatoare in oglinda, atunci cand merg la ...
ATM-ul care da gratuit cate 100 de euro oricui doreste, cu o singura conditie. In ce tara se afla
Miercuri 27 Februarie 2013

ATM-ul care da gratuit cate 100 de euro oricui doreste, cu o singura conditie. In ce tara se afla

Vestea s-a raspandit cu viteza luminii pe internet… Un ATM elibereaza cate 100 de ...
Drama unei tinere britanice de 140 de kilograme: de ce refuza lumea sa o angajeze
Miercuri 27 Februarie 2013

Drama unei tinere britanice de 140 de kilograme: de ce refuza lumea sa o angajeze

Peste 7000 de britanici sunt prea obezi ca sa lucreze. Jay Cole, o tanara din Marea ...
Povestea inelului de logodna pierdut care s-a intors la proprietara dupa 11 ani
Miercuri 27 Februarie 2013

Povestea inelului de logodna pierdut care s-a intors la proprietara dupa 11 ani

O femeie a izbucit in lacrimi cand si-a pus din nou pe mana inelul de logodna pe care l-a ...
VIDEO. S-a ascuns in vestiar, ca sa afle cine fura banii din ghiozdanele elevilor. Cine era hotul
Miercuri 27 Februarie 2013

VIDEO. S-a ascuns in vestiar, ca sa afle cine fura banii din ghiozdanele elevilor. Cine era hotul

Justine Betti, eleva la un liceu din California, a pus la cale un plan ingenios, pentru a ...
Preocuparile unui profesor universitar de chimie. Studentii nu se asteptau la asa o proiectie
Miercuri 27 Februarie 2013

Preocuparile unui profesor universitar de chimie. Studentii nu se asteptau la asa o proiectie

Un profesor universitar din Belgia a fost surprins de studenti intr-o ipostaza bizara, ...
O tanara miss din Statele Unite a ramas fara coroana dupa ce au aparut aceste imagini indecente
Miercuri 27 Februarie 2013

O tanara miss din Statele Unite a ramas fara coroana dupa ce au aparut aceste imagini indecente

Melissa King credea in prezent si in viitor, dar trecutul a ajuns-o din urma si i-a ...
Cum reuseste aceasta tanara sa se transforme cu ajutorul machiajului. Talentul ei e incredibil
Miercuri 27 Februarie 2013

Cum reuseste aceasta tanara sa se transforme cu ajutorul machiajului. Talentul ei e incredibil

Sandra Holmbom este o tanara pasionata de tot ceea ce face, dar si extrem de talentata. ...
A crezut ca a intalnit barbatul ideal, dar a ajuns la psiholog dupa ce a vazut ce avea in dormitor
Miercuri 27 Februarie 2013

A crezut ca a intalnit barbatul ideal, dar a ajuns la psiholog dupa ce a vazut ce avea in dormitor

O femeie de 38 de ani a crezut ca si-a intalnit partenerul ideal intr-un club de karaoke. ...
Cymothoa exigua, cea mai ciudata forma de viata parazitara. Poate inlocui cu succes un organ
Miercuri 27 Februarie 2013

Cymothoa exigua, cea mai ciudata forma de viata parazitara. Poate inlocui cu succes un organ

Anna Rothschild, jurnalista la o publicatie de stiinta, a realizat o fotografie ...
Transformarea incredibila a profesorului atat de gras incat avea nevoie de 10 min sa se incalte.FOTO
Marti 26 Februarie 2013

Transformarea incredibila a profesorului atat de gras incat avea nevoie de 10 min sa se incalte.FOTO

La o greutate de 165 de kilograme, profesorul de informatica James Bentley nu dadea un ...
Angry Birds pe un ATM din Rusia. Ce au facut cativa hackeri in mijlocul strazii
Marti 26 Februarie 2013

Angry Birds pe un ATM din Rusia. Ce au facut cativa hackeri in mijlocul strazii

Pentru a-si demonstra priceperea in ochii tuturor, cativa hackeri din Rusia au ales sa ...
A mers la politie sa denunte un viol. Ce i s-a intamplat dupa depaseste orice imaginatie
Marti 26 Februarie 2013

A mers la politie sa denunte un viol. Ce i s-a intamplat dupa depaseste orice imaginatie

O femeie care sufera de mitomanie (n.r. mania de a minti) a fost condamnata la 16 luni de ...
\
Marti 26 Februarie 2013

"Caut iubit, dar am pretentii". Cati barbati au raspuns la anuntul dat de aceasta tanara

In anuntul pe care l-a postat pe un site matrimonial, aceasta femeie se descrie intr-un ...
Lucrul absolut surprinzator pe care aceasta femeie l-a aflat despre tatal copilului ei
Marti 26 Februarie 2013

Lucrul absolut surprinzator pe care aceasta femeie l-a aflat despre tatal copilului ei

O femeie din Marea Britanie l-a conceput pe fiul ei, Max, in urma cu 6 ani, cu un donator ...
Ce a descoperit un barbat in portofelul pierdut acum 3 ani. “Chiar nu ma asteptam la una ca asta”
Marti 26 Februarie 2013

Ce a descoperit un barbat in portofelul pierdut acum 3 ani. “Chiar nu ma asteptam la una ca asta”

Un barbat, angajat la serviciul de salubrizare, si-a pierdut portofelul cu o suma mare de ...
Cele 7 \
Marti 26 Februarie 2013

Cele 7 "OZN-uri" de pe Terra. Casele de lux in care au ales sa traiasca unii milionari ai lumii

Inca din anii '50, cand Uniunea Sovietica lansa pe orbita racheta Sputnik, iar Statele ...
VIDEO cu peste 70.000 de vizualizari in doar o zi. Ce face acest barbat, urcat pe masina
Marti 26 Februarie 2013

VIDEO cu peste 70.000 de vizualizari in doar o zi. Ce face acest barbat, urcat pe masina

Un barbat din Argentina a devenit o adevarat senzatie pe Internet, dupa ce a demonstrat ...
Povestea emotionanta din spatele acestei fotografii. Cum s-a transformat bucuria in tristete
Marti 26 Februarie 2013

Povestea emotionanta din spatele acestei fotografii. Cum s-a transformat bucuria in tristete

Callie Mitchell, studenta la fotografie la Universitatea din Iowa, a realizat un ...
FOTO, VIDEO. \
Marti 26 Februarie 2013

FOTO, VIDEO. "Dinozaurul de pe Marte". Ce a fotografiat robotul Curiosity pe Planeta Rosie

O fotografie facuta de robotul Curiosity pe Marte alimenteaza din nou speculatiile ...
Parintii au fost ingroziti cand au aflat secretul fiului. Ce s-a intamplat intre el si sora vitrega
Marti 26 Februarie 2013

Parintii au fost ingroziti cand au aflat secretul fiului. Ce s-a intamplat intre el si sora vitrega

Un tanar din Marea Britanie s-a indragostit de sora lui vitrega, desi era la un pas de ...
VIDEO. Inchisoarea olandeza transformata in hotel de lux. Cat costa o noapte de cazare aici
Marti 26 Februarie 2013

VIDEO. Inchisoarea olandeza transformata in hotel de lux. Cat costa o noapte de cazare aici

Timp de 150 de ani, Het Arresthuis a fost una din cele mai temute inchisori din Olanda, ...
Un barbat ar putea ajunge la inchisoare din cauza unui clip in care apare fiul lui de 9 ani. VIDEO
Marti 26 Februarie 2013

Un barbat ar putea ajunge la inchisoare din cauza unui clip in care apare fiul lui de 9 ani. VIDEO

Un barbat din Massachusetts, Statele Unite, ar putea ajunge la inchisoare din cauza unui ...
Risca sa nu mai practice niciodata avocatura. Ce au facut femeia si clientul ei, in inchisoare
Marti 26 Februarie 2013

Risca sa nu mai practice niciodata avocatura. Ce au facut femeia si clientul ei, in inchisoare

Lisa Traylor Wolff, in varsta de 52 de ani, era avocata, dar si judecatoare, cunoscuta si ...
VIDEO. Ce se intampla atunci cand un barbat iese gol din camera de hotel si uita sa-si ia cheile
Marti 26 Februarie 2013

VIDEO. Ce se intampla atunci cand un barbat iese gol din camera de hotel si uita sa-si ia cheile

Un clip publicat pe YouTube a devenit o adevarata senzatie pe internet, dupa ce camerele ...
\ video article
Luni 25 Februarie 2013

"Need for speed" in Romania, cu doi cai putere. Liniuta intre doua carute pe Autostrada Soarelui

Prinsi in lupta pentru titlul de: "cel mai rapid carutas de asfalt'', doi barbati au ...
Iubeste un barbat care doar s-a folosit de ea si nu-l poate uita. \
Luni 25 Februarie 2013

Iubeste un barbat care doar s-a folosit de ea si nu-l poate uita. "Ma gandesc la el zi si noapte"

O tanara din Marea Britanie i-a scris psihologului The Sun pentru a-i cere sfatul in ...
A vrut sa faca o gluma sotului si a ajuns la inchisoare. Ce fotografie i-a trimis
Luni 25 Februarie 2013

A vrut sa faca o gluma sotului si a ajuns la inchisoare. Ce fotografie i-a trimis

Tiffany Ennis, in varsta de 31 de ani, a fost arestata dupa ce si-a legat fiul la gura si ...
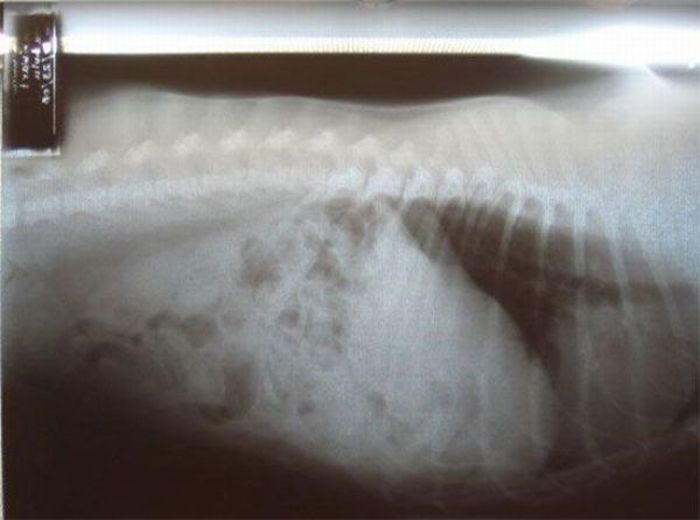
Un caine din rasa Labrador, salvat de medici dupa ce a inghitit 79 de pietricele
Luni 25 Februarie 2013

Un caine din rasa Labrador, salvat de medici dupa ce a inghitit 79 de pietricele

Un catel din rasa Labrador a fost salvat de medicii veterinari dupa ce a inghitit 79 de ...
Era cu sotul in luna de miere in Dubai, cand s-a produs o tragedie. Nimeni nu stie ce s-a intamplat
Luni 25 Februarie 2013

Era cu sotul in luna de miere in Dubai, cand s-a produs o tragedie. Nimeni nu stie ce s-a intamplat

In urma cu 2 saptamani, Abbie s-a casatorit cu fostul motociclist profesionist Sean Emmet ...
Deprimata ca a parasit-o iubitul, ajunsese sa aiba 90 de kg. Metoda inedita prin care a slabit
Luni 25 Februarie 2013

Deprimata ca a parasit-o iubitul, ajunsese sa aiba 90 de kg. Metoda inedita prin care a slabit

Danielle Davies cantarea 90 de kg, dupa ce se despartit de iubitul ei si incepuse sa ...
\
Duminica 24 Februarie 2013

"Ma simt fericita!". A slabit 62 de kilograme, iar acum este admirata de toti. FOTO

Heather Fearneyhough a povestit pentru Huffington Post cum a reusit sa slabeasca 62 de ...
O farsa demna de \
Duminica 24 Februarie 2013

O farsa demna de "Jurassic Park". Cum reactioneaza oamenii cand sunt "atacati" de un dinozaur. VIDEO

Cei de la KHA Entertainment au pus la cale o farsa in care au vrut sa testeze cum ...
  • ‹
  • 1
  • ...
  • 301
  • 302
  • 303
  • ...
  • 312
  • 322
  • 332
  • ...
  • 402
  • ...
  • 477
  • ›
  • Despre Noi
  • Harta Site
  • Newsletter
  • Contact
  • Publicitate
  • Politica de Confidentialitate
  • Politica de Cookie
  • Termeni si Conditii
  • CNA

© 2025 PROTV. Toate drepturile rezervate.